Používame cookies

Súbory cookie a ďalšie technológie sledovania používame na zlepšenie vášho zážitku z prehliadania našich webových stránok, na to, aby sme vám zobrazovali prispôsobený obsah a cielené reklamy, na analýzu návštevnosti našich webových stránok a na pochopenie toho, odkiaľ naši návštevníci prichádzajú. Viac info

 

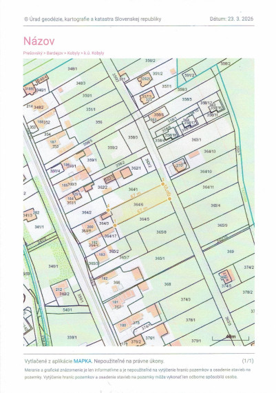
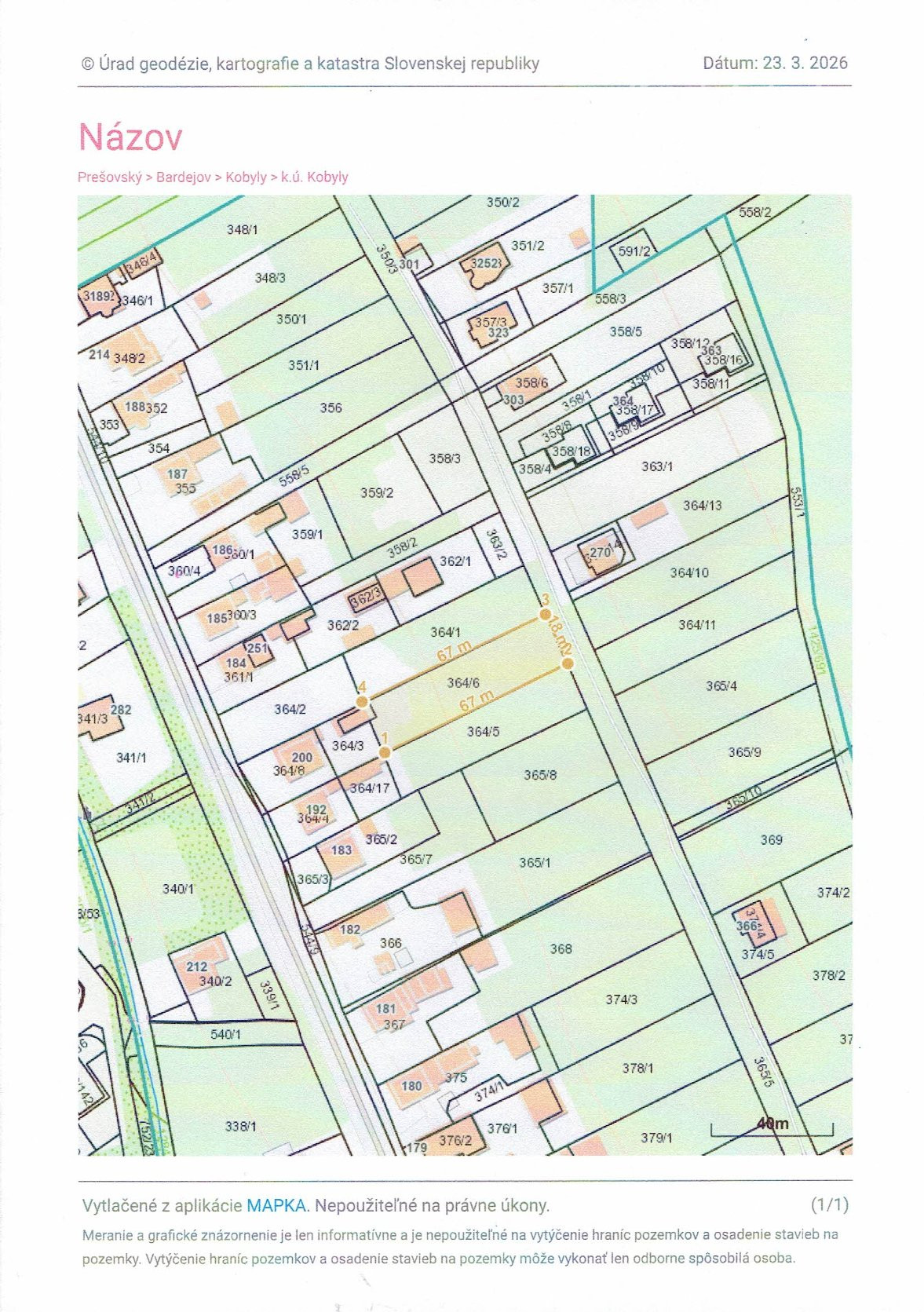
Stavebný pozemok v obci Kobyly

Obec: Kobyly
Okres: Bardejov
Kraj: Prešovský kraj
Druh: Pozemky
Typ: Predaj
Typ pozemku: Pozemok pre rodinné domy
Iné:
Rezervované
Exkluzívna ponuka

Popis nehnuteľnosti

Ponukame na predaj slnečný, priestranný pozemok v obci Kobyly, vzdialenej 11 km od mesta Bardejov,  o výmere 1200 m2, určený na výstavbu Rodinného domu.

Rozmery pozemku sú: šírka 18 m a dlžka 67 m.

Vjazd na pozemok je z bočnej tichej ulice. Inžinierské siete sa nachádzajú pri pozemku, okrem kanalizácie, ktorá v obci nie je.

Kúpna cena pozemku je 60€/m2

Vlastnosti

Status:
rezervované
Vlastníctvo:
osobné
Plocha pozemku:
1200 m2
Typ zeme:
rovina
Šírka pozemku:
18 m
Dĺžka pozemku:
67 m
Celková plocha:
1200 m2
Inžinierske siete:
áno
Voda:
áno
Elektrika:
áno
Plyn:
áno
Status:
rezervované
Vlastníctvo:
osobné
Plocha pozemku:
1200 m2
Typ zeme:
rovina
Šírka pozemku:
18 m
Dĺžka pozemku:
67 m
Celková plocha:
1200 m2
Inžinierske siete:
áno
Voda:
áno
Elektrika:
áno
Plyn:
áno

Pozrieť na mape

Radi Vám poradíme

Podobné nehnuteľnosti